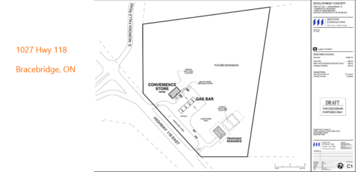
Property on Hwy 118

Sale Price: Contact

land for sale in Ontario

Listing ID: PGL02

DESCRIPTION

  • 10 Acres Commercial Zoned and Gas Company approved

Want to learn more about this property?